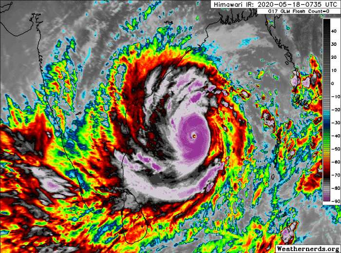
দক্ষিণ-পূর্ব বঙ্গোপসাগর ও তৎসংলগ্ন দক্ষিণ-পশ্চিম বঙ্গোপসাগর এলাকায় অবস্থানরত অতি প্রবল ঘূর্ণিঝড় আম্পানের বাতাসের সর্বোচ্চ গতিবেগ ঘণ্টায় ২৬৫ কিলোমিটার দমকা হাওয়া-সহ ঘণ্টায় ২৪০ কিলোমিটার বলে জানিয়েছে ভারতীয় আবহাওয়াবিদরা। আগামীকাল উপকূলে এটি আঘাত হানবে বলে ধারণা করা হচ্ছে।
ভারতের পূর্বাঞ্চলীয় রাজ্যগুলোতে এবং বাংলাদেশের দক্ষিণ ও দক্ষিণ-পশ্চিম উপকূলে আঘাত হানার আগে এটি দুর্বল হয়ে যাবে বলে আশা করা হচ্ছে। তবে, তখন এর গতিবেগ ঘণ্টায় ২০০ কিলোমিটার থাকবে বলে জানিয়েছেন ভারতের ন্যাশনাল ডিজাস্টার রেসপন্স ফোর্সের চিফ এস.এন প্রধান। এক সংবাদ সম্মেলনে তিনি বলেন,
“আবাসিক এলাকাগুলোতে আঘাত হানার সময়ে এর গতিবেগ থাকবে ঘণ্টায় ১৯৫-২০০ কি.মি.। এটি জান-মালের ভয়ানক ক্ষতিসাধন করবে।”
তিনি আরও বলেন, নিচু এলাকাগুলোতে জলোচ্ছ্বাসের সম্ভাবনাও রয়েছে।
ভারতের আবহাওয়া দপ্তর একটি বুলেটিনে বলেছে, ঘণ্টায় ১৯৫ কি.মি. গতিবেগে দমকা হাওয়াসহ এটি বুধবার সন্ধ্যায় ঘণ্টায় ১৭৫ কি.মি. গতিবেগে উপকূল অতিক্রম করতে পারে।
বায়ুপ্রবাহের এই গতিবেগ ক্যাটাগরি-২ এবং ক্যাটাগরি-৩ হ্যারিকেনের শক্তির সমতুল্য।
ভারত মহাসাগরে সাম্প্রতিক বছরগুলোতে সৃষ্টি হওয়া অন্যতম বড় ঘূর্ণিঝড়ে পরিণত হয়েছে এই ঘূর্ণিঝড় আম্পান।
২০০৭ সালের নভেম্বরে আঘাত হানা ঘূর্ণিঝড় সিডরে ৩০০০ এরও বেশি লোক মারা গিয়েছিল। বাংলাদেশের কর্তৃপক্ষও সতর্ক করেছে যে, সিডরের পর এটিই ভয়াবহ ঘূর্ণিঝড়।

এই ঘূর্ণিঝড়ের প্রভাবে পশ্চিমবঙ্গের উপকূলীয় এলাকা এবং উড়িষ্যা রাজ্যে ভারি বৃষ্টিপাত এবং তীব্র গতিতে বায়ু প্রবাহিত হবে বলে এএফপি-কে জানিয়েছেন কলকাতার রিজিওনাল মিটিওরোজিকাল সেন্টারের জি.কে. দাস।
বাংলাদেশের দুর্যোগ ব্যবস্থাপনা ও ত্রাণ মন্ত্রণালয়ের সিনিয়র সচিব মো: শাহ্ কামাল বলেন, নিম্নাঞ্চলের প্রায় দুই মিলিয়ন বাসিন্দাকে মঙ্গলবার থেকে সরিয়ে নেওয়া হবে। তিনি আরও বলেন যে, পাঁচ মিলিয়নেরও বেশি লোককে সরিয়ে নিয়ে আশ্রয় দেওয়ার সক্ষমতা তাদের রয়েছে।
আশ্রয়কেন্দ্রগুলোতে সামাজিক-দূরত্ব
মো: শাহ্ কামাল বলেন, রেকর্ড-সংখ্যক ১২,০৭৮ টি আশ্রয়কেন্দ্র, যেগুলোর মধ্যে ৭০০০ স্কুল-কলেজও রয়েছে, করোনাভাইরাসের সংক্রমণের শঙ্কা থাকা সত্ত্বেও এগুলো প্রস্তুত রাখা হয়েছে।
আশ্রয়কেন্দ্রে যারা আসবেন তাদের সবাইকে মাস্ক পরিধান করতে হবে এবং তাদেরকে দস্তানা পরতেও উৎসাহিত করা হচ্ছে, বলেন তিনি।
ভারতের স্টেট মিনিস্টার মন্তুরাম পাকিরা এএফপি-কে বলেন, পশ্চিমবঙ্গে, নিম্নাঞ্চলের দুই লাখেরও (২০০,০০০) বেশি লোককে ঘর-বাড়ি থেকে সরিয়ে নেওয়া হচ্ছে আজ।
উড়িষ্যার সাইক্লোন কন্ট্রোল রুমের একজন কর্মকর্তা বলেন, ১.১ মিলিয়ন লোকের জন্য আশ্রয়কেন্দ্রের ব্যবস্থা করা হবে। আশা করা হচ্ছে যে, সেখানে এই ঝড়ের বড় ধাক্কা লাগবে না আর তাদের যে সক্ষমতা আছে তার মাত্র দশ শতাংশ ব্যবহৃত হবে।
Follow SBS Bangla on FACEBOOK.
