The immune responses from one of Australia's first coronavirus patients have been mapped, which researchers say is the first step towards finding a vaccine.
Researchers at Melbourne's Peter Doherty Institute for Infection tested at four different points in time the blood samples of an otherwise healthy woman who was diagnosed with coronavirus.
They were able to record how her immune system responded to COVID-19, and how it was able to overcome the virus.
Laboratory Head Professor Katherine Kedzierska told SBS News the patient's immune response was similar to that of a patient with influenza.
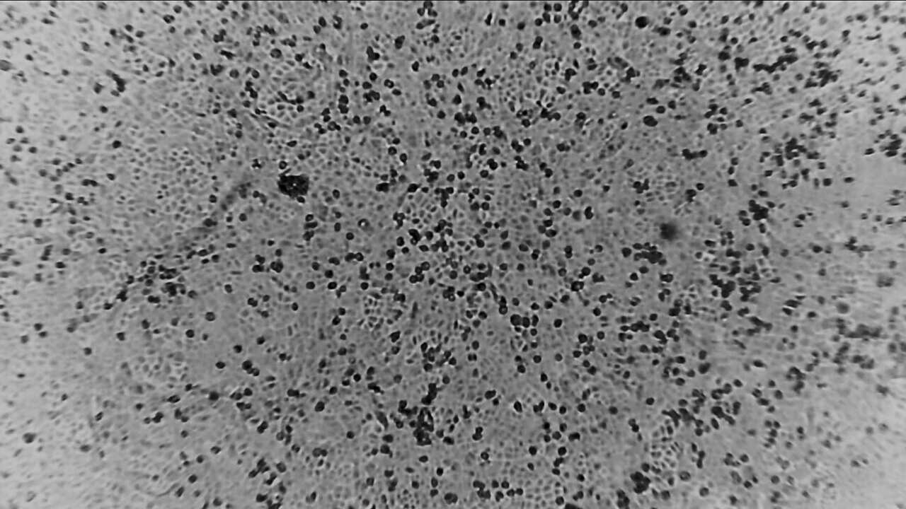
"When we were analysing the immune responses, we saw really textbook images of several different immune cell types emerging in the patient's blood," she said.
"Even though COVID-19 is caused by a new virus, in an otherwise healthy person, we can generate a robust immune response across different cell types."
"This is an important step forward in understanding what drives recovery."
"Now we can do research on understanding what's lacking, or what's different in patients that have fatal disease outcomes."

Research fellow Oanh Nguyen said it is the first time broad immune responses to COVID-19 have been reported.
"Three days after the patient was admitted, we saw large populations of several immune cells, which are often a tell-tale sign of recovery during seasonal influenza infection."
"We predicted that the patient would recover in three days, which is what happened."
In January, Doherty Institute researchers became the first outside China to successfully grow the Wuhan Coronavirus from a patient sample.
Now by dissecting the immune response, scientists are a step closer to finding an effective Coronavirus vaccine.
But Professor Kedzierska said there are "many more questions" scientists are yet to answer.
"We've shown that this patient expressed antibodies, which are obviously important for the vaccine development," she said.
"We still need to understand the nature of those antibodies, whether they can neutralise the virus or not."
And it's too early to tell if patients who've had the Coronavirus are immune from future infections.
"We need to understand whether those immune responses can proceed into immunological memory [and whether] we still got those cells that can protect us against reinfection...with the same virus."
The findings were published on Tuesday in a medical journal called Nature Medicine.
Coronavirus symptoms can range from mild illness to pneumonia, according to the Federal Government's website, and can include a fever, coughing, sore throat, fatigue and shortness of breath.
There are now more than 375 coronavirus cases across Australia.
As of Tuesday afternoon, only people who have recently travelled from overseas or have been in contact with a confirmed COVID-19 case and experienced symptoms within 14 days are advised to be tested.
If you believe you may have contracted the virus, call your doctor, don’t visit, or contact the national Coronavirus Health Information Hotline on 1800 020 080.
If you are struggling to breathe or experiencing a medical emergency, call 000.

