Here is a list of useful resources on Cyclone Yasi that are being updated in real time by a range of authorities and others.
- Queensland police are using Twitter to send frequent and detailed updates and safety information
- A stream of advice is also available via the Queensland police Facebook page
- Track Yasi's approach with the Bureau of Meteorology's cyclone map
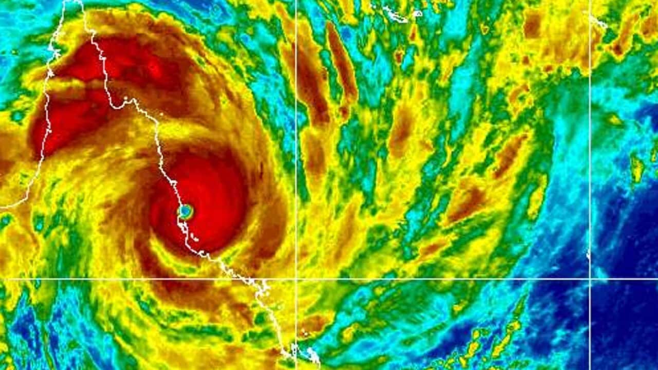
- The US National Oceanic and Atmospheric Administration offers a moving colour satellite view
- NASA is tracking the cyclone and publishing stunning images of it
- Twitter's cyclone hashtags are alive with first-hand pictures from webcams and phones
Share

