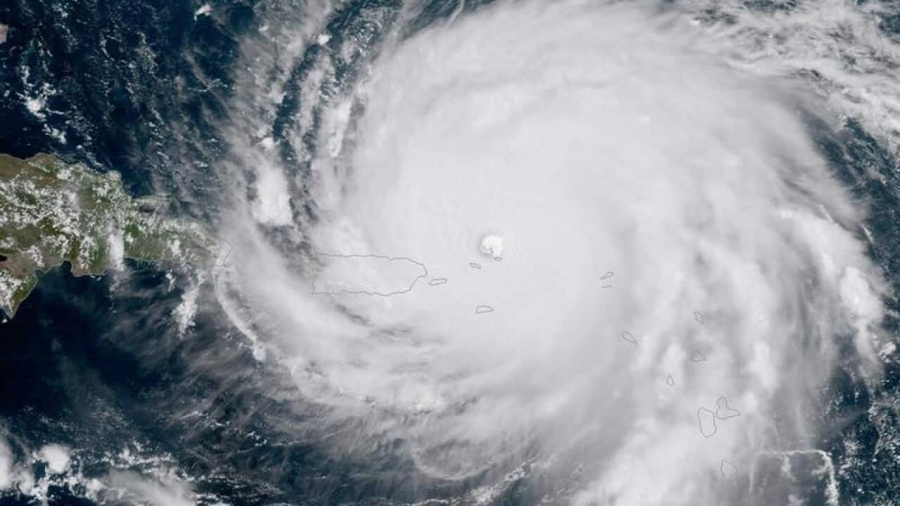
Hurricane Irma has scraped Cuba's northern coast on a course towards Florida, leaving in its deadly wake a ravaged string of Caribbean resort islands.
The death toll in the Caribbean stood at at least 21 and was expected to rise as rescuers reached some of the hardest-hit areas.
And a new danger lay on the horizon to the east: Hurricane Jose, a Category 4 storm with 240km/h winds that could punish some of the devastated areas all over again.
Irma weakened from a Category 5 to a still-fearsome Category 4 on Friday morning.
The hurricane smashed homes, schools, stores, roads and boats on Wednesday and Thursday as it rolled over some of the world's most famous beach paradises, including St Martin, St Barts, St Thomas, Barbuda and Anguilla.
It knocked out power, water and telephone service, trapped thousands of tourists, and stripped the trees of leaves, leaving an eerie, blasted-looking landscape. Looting was reported on St. Martin, and a curfew was imposed in the US Virgin Islands.
Irma rolled past the Dominican Republic and Haiti and battered the Turks and Caicos Islands early on Friday with waves as high as six metres. Communications went down as the storm slammed into the islands, and the extent of the devastation was not immediately clear.
The hurricane also spun along the northern coast of Cuba, where tens of thousands of people were being moved to safety, including thousands of tourists along a shoreline dotted with all-inclusive resorts.
US, Dutch, French and British authorities used warships and military planes to rush food, water and troops to the stricken zone.
On the island of St Thomas, part of the US Virgin Islands, power lines and towers were toppled, leaves were stripped off plants and trees, a water and sewage treatment plant was heavily damaged, and the harbour was in ruins, along with hundreds of homes and dozens of businesses.
Thousands of tourists were trapped on St Martin, St Barts, and the Virgin Islands in the path of Jose, which threatened to strike as early as Saturday.
Some of the Irma-ravaged islands could see tropical-storm force winds and heavy rain from Jose, said Jeff Masters of the private forecasting service Weather Underground.
On St Martin, cafes and shops were swamped, and the storm left gnarled black branches stripped of leaves. Battered cars, corrugated metal, plywood, wrought iron and other debris covered street after street. Roofs were torn off numerous houses.
There was little left of the Hotel Mercure but its sign, painted on a still-standing wall.
The dead included 11 on St Martin and St Barts, four in the US Virgin Islands, four in the British Virgin Islands, and one each on Anguilla and Barbuda.
The hospital on St Thomas was destroyed and dozens of patients were being evacuated to St Croix and Puerto Rico by the US Coast Guard.
Share



