Key Points
- Hurricane Milton is expected to grow in size before landfall, affecting hundreds of kilometres of coastline.
- Evacuations have been ordered for over one million people on Florida's west coast.
- The huge storm comes less than two weeks after the deadly Hurricane Helene hit Florida last month.
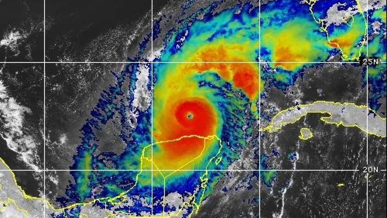
An expanding Hurricane Milton churned toward Florida's battered Gulf Coast on Tuesday, where more than one million people were ordered to evacuate before the monster storm hit the Tampa Bay area.
The background: The hurricane, which is rapidly intensifying into one of the area's most powerful on record, was forecast to make landfall on Wednesday. It would threaten a stretch of Florida's densely populated west coast that is still reeling from the devastating Hurricane Helene less than two weeks ago.
A direct hit on the area would be the first since 1921, when the now-sprawling Tampa-St. Petersburg-Clearwater area was a relative backwater.
The key quote: "Milton has the potential to be one of the most destructive hurricanes on record for west-central Florida," the US National Hurricane Center said.
What else to know: The centre forecast storm surges of 3 to 4.5 meters along the coastline north and south of Tampa Bay, likely swamping low-lying areas. Forecasts of 127 to 254 mm or more of rainfall threatened flash flooding farther inland.
Some of the area's three million residents rushed to dispose of mounds of debris left by Helene before heeding the evacuation orders.
What happens next: Milton is forecast to remain an extremely dangerous hurricane after landfall in Florida, causing catastrophic damage and power outages expected to last days.
US President Joe Biden on Tuesday postponed his trip to Germany and Angola to oversee preparations for Milton and the response following the hurricane, the White House said.
Biden urged those who had been ordered to leave before Milton made landfall in Florida to evacuate immediately, saying it was a "matter of life and death".
Read more: From floods to thunderstorm asthma, this is what spring and summer could bring

