Hurricane Melissa has made landfall in western Jamaica as a powerful category 5 storm — the strongest ever to directly hit the Caribbean nation of 2.8 million people.
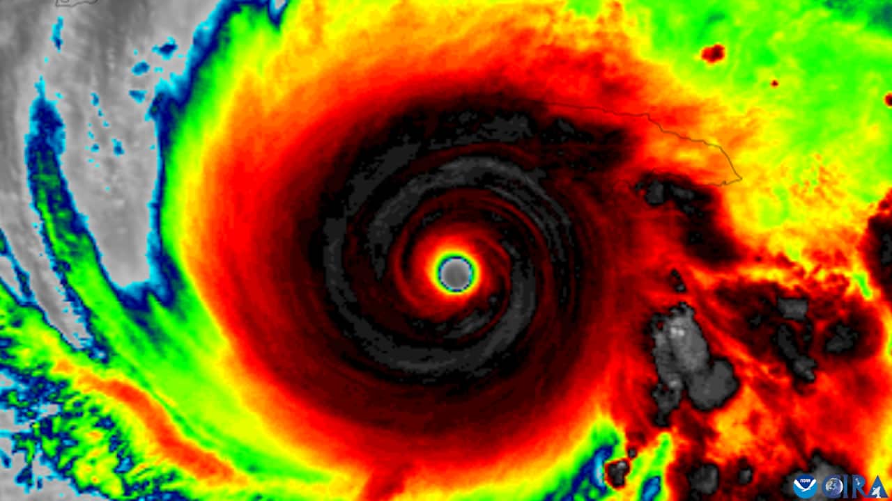
The extremely violent system was still crawling across the Caribbean, promising catastrophic floods and life-threatening conditions as maximum sustained winds reached a staggering 295km/h.
"This is an extremely dangerous and life-threatening situation!" warned the United States National Hurricane Center (NHC), urging residents to stay sheltered and as far from windows as possible, including during the brief calm offered by the storm's eye.
The slow-moving storm is forecast to remain a powerful hurricane as it crosses the mountainous island, whose highland communities are vulnerable to landslides and flooding, and is heading towards Santiago de Cuba, Cuba's second-largest city.
Jamaica's health minister, Christopher Tufton, said strong winds have caused "significant damage" to four major hospitals across the country.
The Miami-based hurricane centre warned "total structural failure" was likely in Melissa's path.
US forecaster AccuWeather's lead hurricane expert, Alex DaSilva, said: "The destruction could be unlike anything people in Jamaica have seen before."
Melissa weakened slightly to a still powerful category 4 hurricane after making landfall near the town of New Hope in south-western Jamaica.
While initially packing maximum sustained winds of up to 295km/h, it had weakened to 241km/h later in the day.

Police officers and members of the Revolutionary Armed Forces collaborate in evacuating people on the road leading to the town of Chivirico, in Santiago de Cuba, Cuba. Source: AAP / Ernesto Mastrascusa / EPA
"The island has never taken a direct hit from a category 4 or a category 5 hurricane in recorded history," Da Silva said.
Shortly before landfall, Jamaican electric utility JPS said power outages had affected more than a third of its customers. In its worst-hit parishes, JPS said some three-quarters of customers lost power.
Local government minister Desmond McKenzie told reporters nearly 6,000 people had moved into temporary shelters.
The government had issued mandatory evacuation orders for some 28,000 people, but some were reluctant to leave their homes.
"Don't bet against Melissa, because you will lose," warned McKenzie, as authorities implored residents to seek protection in shelters and fortify their residences.
'Storm of the century'
Melissa's sustained wind speed was even more potent than most of recent history's big storms, including 2005's Katrina, which ravaged the US city of New Orleans.
Anne-Claire Fontan of the World Meteorological Organization, said: "For Jamaica, it will be the storm of the century so far."

Hurricane Melissa made landfall in Jamaica with maximum sustained winds of nearly 295km/h, torrential rains, and storm surges that threaten to cause flooding and damage. Source: AAP / Rudolph Brown / EPA
At least three people died during storm preparations in Jamaica, local media reported.
In Cuba, authorities said they had evacuated upwards of 500,000 people from areas vulnerable to winds and flooding.
Meanwhile, hospitals in Hanover, St Elizabeth, St James and Trelawny have been damaged, according to Tufton.
"They are doing some relocation and in some instances waiting on the rain to relocate others," Tufton told local media.
Storm intensified on approach
Melissa's slow movement over unusually tepid Caribbean water had contributed to its ballooning size and strength, NHC forecasters said, threatening Jamaica with days of never-before-seen catastrophic winds and rain.
Melissa could bring up to 762mm of rain to parts of Jamaica, and up to 305mm to parts of the island of Hispaniola, the NHC said.

The US-based humanitarian organisation GEM, which specialises in rapid disaster relief, is mobilising an aid operation both before and after Hurricane Melissa. Source: AAP / Christobal Herrera-Ulashkevich / EPA
To enable swift relief distribution, essential items — tarpaulins, hygiene kits, blankets, and safe drinking water — had been pre-positioned in Red Cross branches on the island, it said, with over 800 shelters set up for evacuees.


